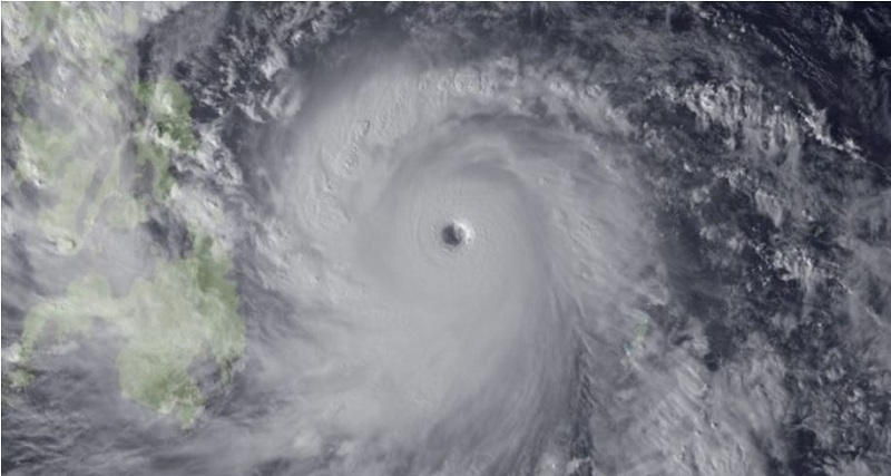
जापान । जापानमा आइतवार शक्तिशाली आँधी आउने चेतावनी दिएको छ । आँधीपछि बाढी पहिरो पनि आउने अधिकारीहरुले बताएका छन् ।
जेबी नामक आँधी प्रतिघण्टा झण्डै २ सय ५२ किलोमिटरका दरले जापानको भित्री भूभागतर्फ लम्किरहेको समाचारमा जनाइएको छ ।
‘निकै शक्तिशाली आँधी आउने अनुमान गरिएको छ, आँधीले जापानको पश्चिमी र पूर्वी क्षेत्रमा प्रभाव पार्ने देखिन्छ,’ जल तथा मौसम पूर्वानुमान विभागका एक अधिकारीले बताए ।
आँधी आउने अनुमान गरिएको पश्चिमी चुगुकु क्षेत्रमा गत जुलाईमा पनि ठूलो बाढी पहिरो आएर झण्डै २ सय २० जनाको मृत्यु भएको थियो । त्यस घटनालाई यस दशककै सबैभन्दा नराम्रो प्राकृतिक प्रकोप मानिएको छ ।
आँधी आउने क्षेत्रमा रहेका मध्ये २७ हजार नागरिकलाई अस्थायी स्थानान्तरण गर्न शनिबार नै निर्देशन दिइएको थियो ।
जापानमा अहिले आँधी आउने मौसम चलिरहेको छ । त्यसैले बेला-बेलामा आँधी, बर्षा र बाढी पहिरो आइरहेको छ ।
यो खबर पढेर तपाईलाई कस्तो महसुस भयो ?








प्रतिक्रिया